2025-08-01 11:05
已查看63次
YY/T0681.9標準規定了軟包裝被置于約束板內進行內部加壓來檢驗其周邊密封處最小脹破強度的方法。
本試驗僅適用于周邊密封的軟包裝(通常指組合袋)。尤其適用于其密封具有可剝離特征(由最終使用者剝開后取出內裝物)的包裝。
本部分規定的脹破試驗是使包裝內部逐漸加壓直到包裝周邊的一個密封區域因壓力增加而“脹”開。加壓過程中將包裝置于約束板內,以維持包裝空間不變,這樣
可以使所施加的壓力更均勻的沿包裝的周邊分布(通常在周邊處密封)。從而可使試驗更可能發現密封的最薄弱區域,并測量出包裝“脹”開所需的壓力。
意義和應用
1.本試驗為評價包裝受到壓差作用時的密封破壞的趨勢提供了快捷的評價方法。壓差可能產生于滅菌過程中和運輸過程中。本試驗方法用以測量包裝密封區域的
脹破強度(即脹破常發生在密封的一個或幾個區域的脹破)。密封區的最小脹破強度值可能對包裝制造商和最終用戶確保適宜的包裝完整性非常重要。本試驗方法
不能對包裝密封的均勻性提供測量。本試驗方法不能用于對整個包裝完整性進行評價,即不能評價包裝與約束板接觸部位的脹破強度。如果有必要,本試驗方法宜
與其他整個包裝完整性、包裝密封的均勻性或打開性能的評價方法結合起來使用。
2.在制造過程中和在包裝壽命周期的各個階段,本試驗經常用于對包裝的密封強度進行快速評價。
3.若要建立試驗設備組件之間的相關性,使試驗方法的所有參數嚴格保持一致是非常重要的。典型的參數有,但不限于:包裝的大小、材料、密封的型式和結構、
氣流進入包裝的速度、壓力檢測傳感裝置及靈敏度(對壓降的機械響應)和試驗品的位置,約束板的剛性,以及約束板間距。
4.本試驗與使用 YY/T0681.3、YYIT 0681.2所述的測量包裝密封強度試驗方法不一定具有相關性(或等同性)。
普創科技LT-03A泄漏與密封強度測試儀完全符合YY/T 0681.9無菌包裝約束板內部氣壓法軟包裝密封脹破試驗方法,采用正壓法測試原理,通過向軟包裝
內部逐漸加壓,直至包裝周邊密封區域脹破,與標準要求的試驗原理相符。并且該儀器可調節加壓速率、約束板間距等參數,能滿足標準中根據包裝材料特性
和結構特點設置試驗參數的要求。同時,儀器還具備高精度傳感器,可準確捕捉包裝脹破瞬間的壓力變化,符合標準中對測量裝置的要求。


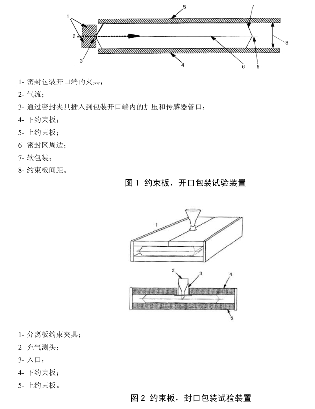
開口包裝測試:使用開口包裝試驗裝置對一端開口(未封口)的軟包裝進行試驗。用一個充氣管口和壓力傳感裝置插入包裝的開口端對包裝加壓,
然后用一個夾緊機構在試驗期間將開口端密封(見圖1)。
封口包裝測試:使用封口后包裝試驗裝置對四個邊密封的包裝進行試驗。用一個充氣管口和壓力傳感裝置與包裝上的打孔連接,對包裝內部進行氣
體加壓(見圖2)。

查看更多 >
?查看更多 >
?查看更多 >
?查看更多 >
?查看更多 >
?查看更多 >
?
聯系我們